Village Envelopes

The following images show the current Village Envelopes in which planning applications if granted by Braintree District Council is permitted.

All applications must be made via a standard form which can be obtained from www.braintree.gov.uk

 

Village Envelope for Bulmer Street area

Village Envelope for Bulmer Tye area

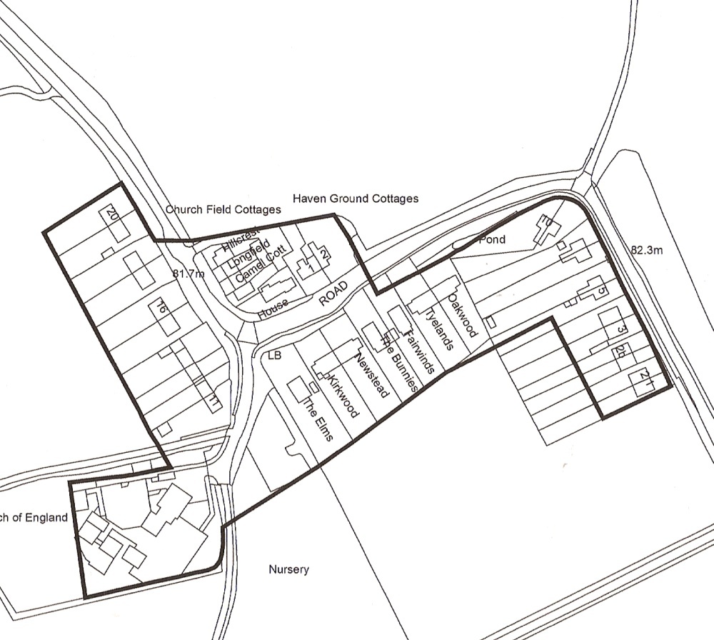
Village Envelope for Havenground area

The Street village envelope              BULMER STREET

 OS copyrighted granted to Braintree District Council

 

VEThe_Tye      BULMER TYE

 OS copyrighted granted to Braintree District Council

VEHaven   HAVENGROUND

 

 

OS copyrighted granted to Braintree District Council